人体光谱

在远红外线光谱中,波长在8-10微米的远红外线与构成人体的水分,蛋白质
图片尺寸640x491
由于 医用红外热像仪是一种被动接受人体散发的红外光谱,故对人体
图片尺寸554x524
温暖的身体红外光谱中的男性和女性身体温暖. 人类的脾气照片
图片尺寸300x300
看不见的存在:神奇的人体辉光
图片尺寸640x248
【八字光谱循环太极图】和【勾三股四弦五太极图】:)
图片尺寸600x1000
在整个光谱中,其实只有一小段光,对人眼开放了.
图片尺寸1000x615
全光谱吸顶灯对人体健康有什么好处呢?
图片尺寸861x681
水与人体健康(安利内部培训资料)ppt
图片尺寸1080x810
测量恒星中的生命关键要素人体由星尘等恒星物质组成
图片尺寸630x377
基于稳态空间分辨光谱技术的猪肉嫩度测量方法研究
图片尺寸791x966
辐射|光谱|光学_网易订阅
图片尺寸650x256
巨哥科技-红外热成像仪,热像仪,光谱仪,激光光束分析仪,短波相机,中波
图片尺寸644x485
222nmuvc紫外线光可杀菌同时对人体无伤害
图片尺寸484x328
胜似太阳光国星光电推出全光谱系列led
图片尺寸750x808
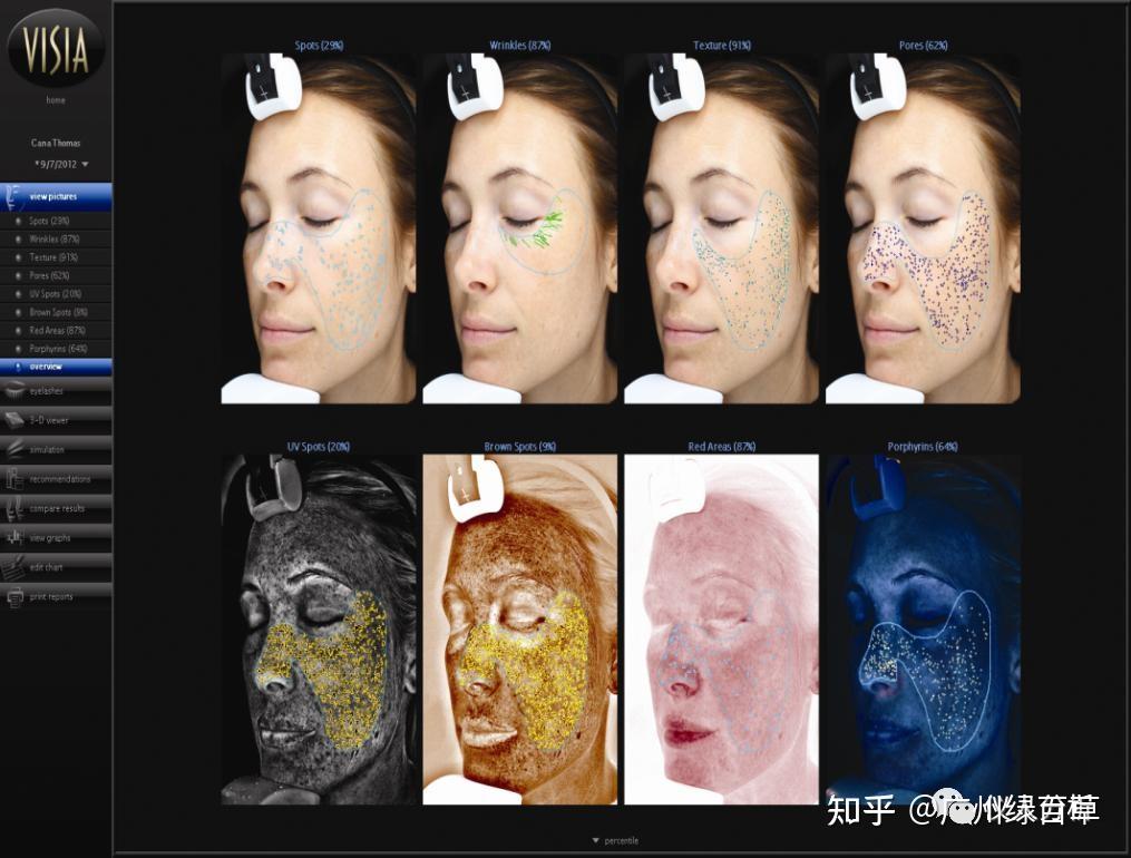
化妆品人体功效评价功效宣称的理解和评价方法的选择看完这篇就够了
图片尺寸1015x770
人体光谱半色调矩阵
图片尺寸1200x584
豪华型带舱 医用红外热成像仪_光谱诊断设备_诊断及监护设备_医药卫生
图片尺寸690x230
非接触式红外人体测温仪你了解多少
图片尺寸456x313
其基本原理是通过探测器接收人体在电磁光谱红外区域内发出的辐射
图片尺寸1000x525
每一类光谱都有其独特的健康作用,如红光对肝脏的构建,绿光对人体的
图片尺寸381x356