十级风

3m/s(十级风),阳原受灾严重,县气象台提前发布了雷电,大风,冰雹等预警
图片尺寸1080x1193
10级大风说成tenlevelbigwind歪果仁根本听不懂
图片尺寸611x474
台风梅花将对浙江沿海造成较大影响Ⅳ级应急响应已启动
图片尺寸559x397
台风"烟花"在浙江平湖二次登陆 十级风圈半径为50-80公里
图片尺寸600x527
3m/s(十级风),阳原受灾严重,县气象台提前发布了雷电,大风,冰雹等预警
图片尺寸1080x810
十级风圈内的上海中心大厦,台风中摇摆超1.4米,能抗住烟花吗
图片尺寸983x720
登陆倒计时台风海神十级风圈已到达日本
图片尺寸580x461
十二级风圈半径为50公里.十级风圈半径为100公里.
图片尺寸849x459
十级风惹祸了,你信吗?
图片尺寸741x1280
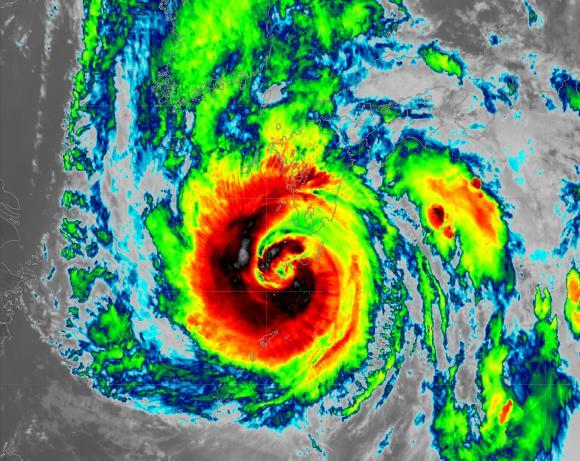
超强台风已越过24小时警戒线,最大风力17级以上!
图片尺寸1080x688
最新丨台风预测路径多条穿过玉环玉环进入利奇马十级风圈
图片尺寸1009x837
十级风惹祸了,你信吗?
图片尺寸931x1280
加强为超强台风级!
图片尺寸967x785
风力级别对照表
图片尺寸448x299
上海快要进入十级风圈了你们家有停电吗
图片尺寸1080x1439
十级大风有多猛?新疆吐鲁番三十里风区昨日风沙走石!
图片尺寸400x217
1度,东经122.1度,中心附近最大风力有16级(52米/秒)
图片尺寸1080x592
大风等级划分口诀(一级风到十二级风口诀)
图片尺寸1189x843
最低气压为980百帕,七级风圈半径130-200公里,十级风圈半径30-40公里
图片尺寸550x366
【今日话题】0-10级,你的体重能扛几级风?
图片尺寸648x421