单波束

单波束与多波束的区别
图片尺寸1140x800
单波束测深仪作用及原理
图片尺寸497x312
单波束测深仪_北京蔚海明祥科技有限公司
图片尺寸983x1019
作品展示▏李炜:姿态对单波束测深作业的影响
图片尺寸640x301
单波束测深,"听"出大海有多深
图片尺寸800x545
中海达ea400中浅水单波束测深仪
图片尺寸409x409
作品展示▏李炜:姿态对单波束测深作业的影响_手机搜狐网
图片尺寸640x380
新品来袭hp1201声惯一体式单波束测深仪再征长江
图片尺寸600x340
ms1000单波束扫描声呐
图片尺寸643x356
单波束与多波束的区别
图片尺寸1275x608
单波束测深仪作用及原理
图片尺寸358x465
hydrotrac ii便携式单波束测深仪
图片尺寸533x557
单波束测深系统在水下地形测量的应用
图片尺寸671x295
新品来袭hp1201声惯一体式单波束测深仪再征长江
图片尺寸600x300
单波束与多波束的区别
图片尺寸866x614
单波束测深仪作用及原理
图片尺寸712x332
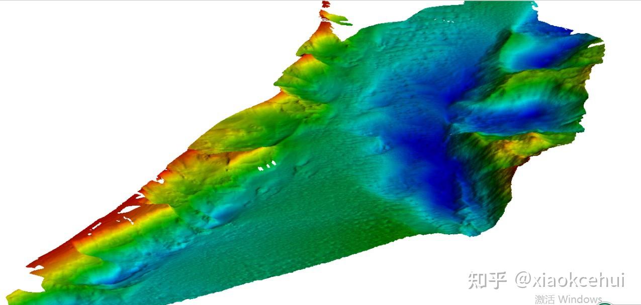
多波束测量成果图2)分辨率高接触过水深测量的都知道,单波束是一种"由
图片尺寸640x330
使用单波束测深仪探测形态变化较大的海床时产生的误差
图片尺寸317x362
作品展示▏李炜:姿态对单波束测深作业的影响
图片尺寸640x565
hy1600a单波束测深仪便携式水文测深系统
图片尺寸490x491