台风水汽

携带大量水汽的台风云系
图片尺寸1118x762
这是我国卫星监测的5号台风"丹娜丝"水汽图
图片尺寸1366x888
【科普】台风是如何形成的?_过程_能量_水汽
图片尺寸2048x1469
台风再次送水广东强降雨天气再次开启
图片尺寸1000x656
【科普】台风是如何形成的?_过程_能量_水汽
图片尺寸2048x1536
热带气旋起源于海洋上的一些热带低气压,它通过水汽
图片尺寸640x440
7月26日12时45分,葵花-8号卫星监测到的超强台风"杜苏芮".
图片尺寸1080x638
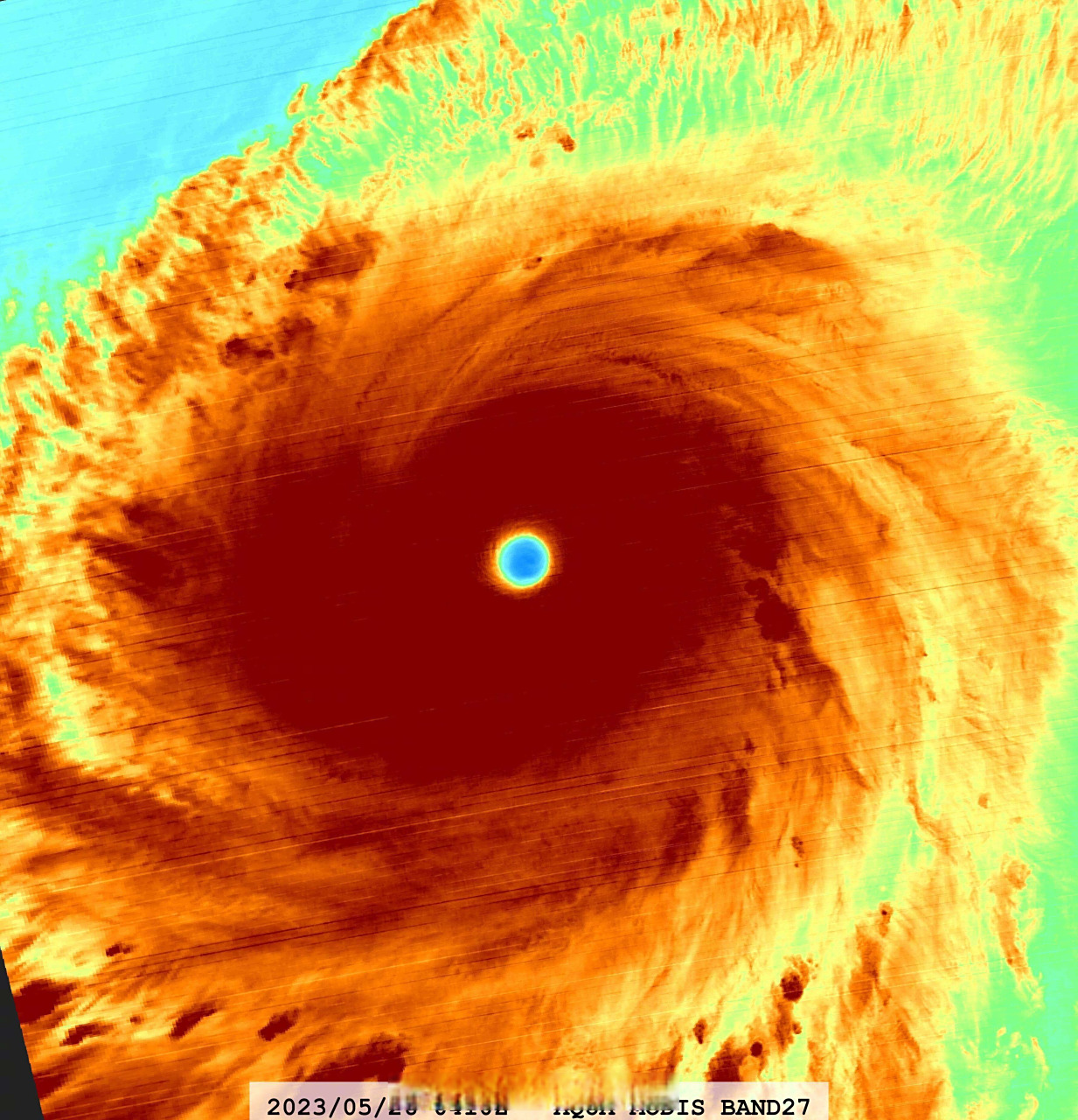
台风玛娃# 玛娃的水汽云图上,怒目圆睁的台风眼中已经开始泛黄,这
图片尺寸1233x1280
台风是如何形成的作为自然灾害它的破坏力度到底有多大呢
图片尺寸660x363
台风杜苏芮来袭会像以前一样转弯吗把对岸日本人担心坏了
图片尺寸660x405
卫星之眼看台风:台风"烟花"结构完整 水汽充沛
图片尺寸1000x719
揭示台风形成机制和原理,为什么每年都会出现这种自然现象_热带_影响
图片尺寸1320x658
刮台风一定会下雨吗
图片尺寸400x271
印度台风水汽甩上我国大范围雨云扩大权威预报北方比南方热
图片尺寸660x670
台风怎么引起的
图片尺寸550x365
台风杜苏芮原来是这样形成的它终于要近海转向了
图片尺寸660x510
暴雨要扩大!台风海葵坚决不死水汽北飘,冷空气南下大范围降雨来了
图片尺寸1728x1080
台风的秘密它是如何从海水中诞生的为什么原子弹不能阻止它
图片尺寸588x359
受今年第6号台风"烟花"(强热带风暴级)的影响,预计20日傍晚到25日白天
图片尺寸720x569
巨大的强台风烟花已对准浙江,它的水汽之多,可能超出你想象
图片尺寸952x535