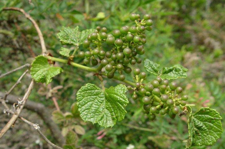
葛藟

【植物介绍】葛藟葡萄|葡萄科
图片尺寸500x375
樛【jiū】木南有樛木,葛藟【lěi】累之.
图片尺寸1016x1353
藤蔓葛藟
图片尺寸640x424
木香诗经之二野葡萄绵绵葛藟
图片尺寸500x331
葛藟的释义
图片尺寸690x465
南有樛木
图片尺寸320x320
p> span class="ref" data-ctrid="kqxpytl">葛藟葡萄(学名: /span>
图片尺寸774x512
《诗经》071之《王风·葛藟》:一首无限悲凉的流浪歌
图片尺寸640x428
南有樛木,葛藟萦(yíng)之.乐只君子,福履成之.南有樛木,葛藟荒之.
图片尺寸2623x2275
谓他人昆谓他人昆亦莫我闻国风葛藟.ppt 4页
图片尺寸1152x864
图片信息-kingdonia-植物云数据
图片尺寸740x493
小时候的美味
图片尺寸690x517
古人吃什么?《诗经》植物志:绵绵葛藟,在河之浒
图片尺寸1024x696
乐只君子,福履绥之. 南有樛木,葛藟荒之.乐只君子,福履将之.
图片尺寸1680x1568
【植物介绍】葛藟葡萄|葡萄科
图片尺寸500x375
葛藟
图片尺寸600x480
葛藟果实,葛藟果实怎么配剂,葛藟果实怎么吃-中药药材查询-39药品通
图片尺寸600x598
从海南植物志看南国草木
图片尺寸400x268
4,《樛木》(jiu) 南有樛木,葛藟累之.
图片尺寸660x430
国学诗经樛木中樛木与葛藟的多重寓意你更倾心于哪一个
图片尺寸500x631