风热火眼的图片

常见的有火眼病;而整个眼睛都发红的人,是肝经风热症,眼睛色黄为黄疸
图片尺寸520x390
热力学
图片尺寸640x632
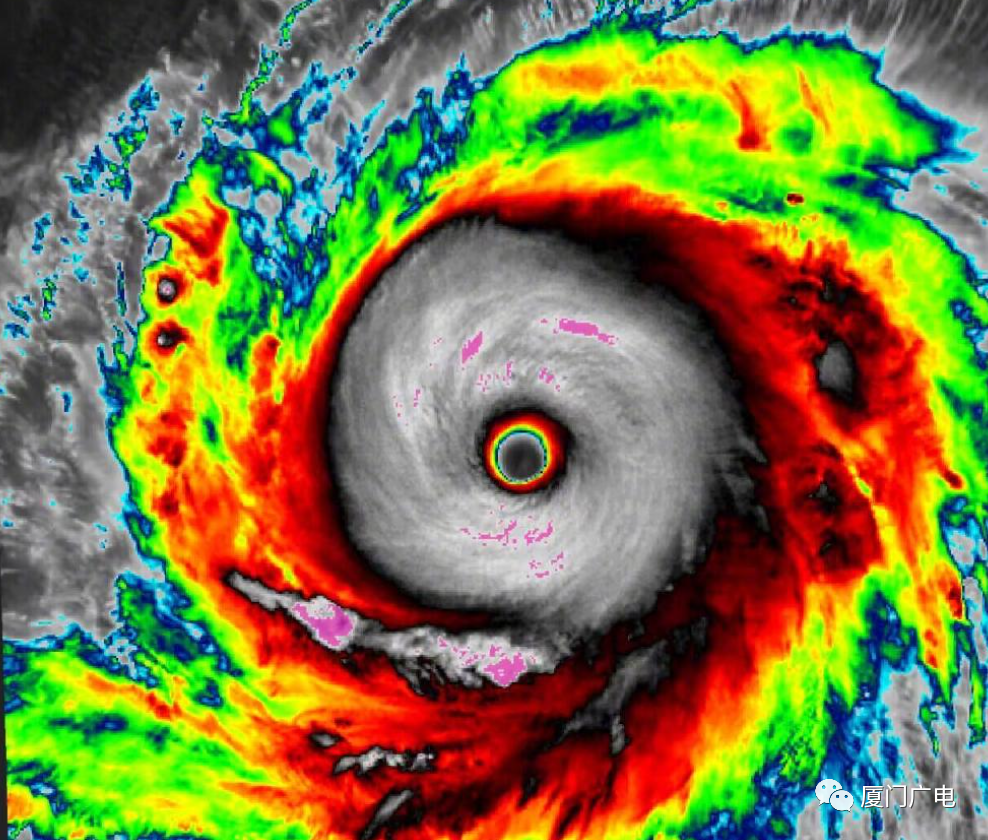
风眼
图片尺寸700x636
科学小实验:只需两个瓶子就可以模拟小小龙卷风,探秘大科学
图片尺寸640x868
图片
图片尺寸988x840
你有遇到过败坏师德的老师吗? - 无m中m生m一的回答 - 头条问答
图片尺寸1023x682
静宁县学生妺300元3小时服务_楚天都市报
图片尺寸640x619
人的体质分九种,你属于哪一种?如何调理?
图片尺寸600x606
今夏以来,中国多地遭遇高温"炙烤",热疯了!
图片尺寸640x480
眼睛上火
图片尺寸500x281
全国防灾减灾日图片
图片尺寸1280x1920
中国四大火炉排行榜:杭州上榜,第一热得爆炸
图片尺寸640x414
那些一眼看过就很热的照片,总有一张戳中你
图片尺寸640x854
风火眼
图片尺寸1366x868
红眼病的症状是什么
图片尺寸263x350
大热天里学"热"词,上海话里这些带"热"的词语你都认识吗?
图片尺寸566x716
这是要把我们都连成火眼金睛啊!太太太太太太热了!
图片尺寸640x1385
女生有甚麽伤心事不开心的事一定要告诉男生
图片尺寸640x426
眼睛经常发红发炎是风热喝桑菊明目饮
图片尺寸1080x1439
1505202832aace0beccaceaa4e907d64ada0bf4435.jpg
图片尺寸464x386